dangerous
<% catList.forEach(function(cat){ %> <%= cat.label %> <% }); %>
<%- node_title %>
Published On
By <%= createdBy.user_fullname %>
<%- node_title %>
Published On
By <%= createdBy.user_fullname %>
<% if(node_description!==false) { %> <%= node_description %>
<% } %> <% catList.forEach(function(cat){ %> <%= cat.label %> <% }); %>
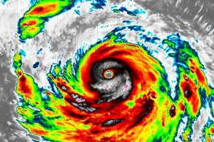
Read More... जापान की ओर बढ़ रहा खतरनाक तूफान, तबाही की चेतावनी
Published On
By BORDER NEWS MIRROR
टोक्यो। जापान की ओर खतरनाक तूफान नैनमाडोल टाइफून तेजी से बढ़ रहा है। जापान के मौसम विभाग ने इन तूफान के कारण भीषण तबाही की चेतावनी दी है। जापान के मौसम विभाग ने अलर्ट जारी किया है कि बेहद खतरनाक... इलेक्ट्रॉनिक वारफेयर सूट से लैस होकर और खतरनाक हुआ लड़ाकू राफेल
Published On
By BORDER NEWS MIRROR
नई दिल्ली। भारत का फ्रांसीसी लड़ाकू विमान राफेल आधुनिक इलेक्ट्रॉनिक वारफेयर सूट से लैस होकर और ज्यादा खतरनाक हो गया है। इलेक्ट्रॉनिक युद्ध (ईडब्ल्यू) हवा, समुद्र, जमीन या अंतरिक्ष से क्रू और बिना क्रू सिस्टम... 



